Skip to content
Home
Tenant
Representation
Property
Listings
Emerging Brand
Development
In the
News
About
Us
Contact
Us
Home
Tenant
Representation
Property
Listings
Emerging Brand
Development
In the
News
About
Us
Contact
Us
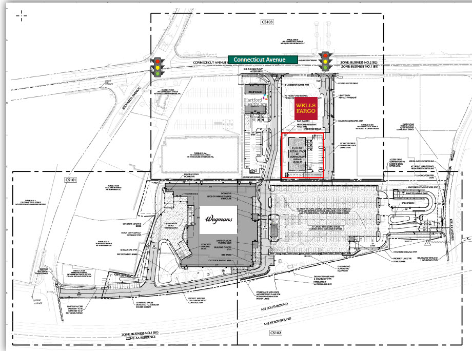
651 Connecticut Avenue
Norwalk,
Connecticut
Wegmans Pad Site
Lease
Pad Site - Single/Multi-Tenant
8,125
SF
Contact Brokers
Penny Wickey
(203) 222-4194 –
Email
Charlie Manuel
(203) 222-4193 –
Email
Flyer
Demographics
Site/Floor Plan